
Un solo piquete de avispa habría sido suficiente para acabar con la vida de Mario Santos Umaña Cruz, peón agrícola de 42 años, que la mañana de este miércoles preparaba un terreno para la siembra en Peñas Blancas de San Ramón, Alajuela.
El hecho ocurrió en un poblado que se llama Sector Ángeles, a eso de las 10 a. m.
Umaña estaba chapeando en un sector de una finca, cuando fue atacado por las avispas y se desvaneció.
Otros peones que estaban cerca acudieron a ayudarle y de inmediato llamaron a la Cruz Roja. Sin embargo, cuando los socorristas lo abordaron, entró en paro cardiorespiratorio.
Pese a que le brindaron maniobras de resucitación, el hombre falleció a eso de las 11:30 a. m. en el lugar, que queda a 500 metros de la escuela de esa localidad.
En la inspección preliminar del cuerpo el OIJ solo le encontró un piquete en la cara, pero el cuerpo fue enviado a la Medicatura Forense para ver si tenía más.
El fallecido era padre de un varón de 16 años y una mujer de 13.
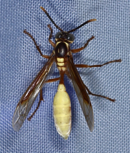
Al encontrar el panal cercano, los agentes judiciales presumen que la avispa que lo picó es conocida como avispa de leche o avispa ahogadora. Su nombre científico es Apoica Pallens y son comunes en toda la región centroamericana.
Esa especie desarrolló ojos más grandes y adaptaciones especiales de visión nocturna para facilitar su comportamiento de enjambre y búsqueda de alimentos durante las noches.
El OIJ levantó el cuerpo a las 2 p. m. y lo envió a la Medicatura Forense para investigar las causas de muerte. Se desconoce si el hombre era alérgico.
Los otros campesinos que estaban cerca de Umaña, no fueron atacados.

