
PUERTO PRINCIPE (AFP) - La región del Caribe se mantenía este sábado en estado de alerta mientras avanzaba el huracán Dean, que dejó dos muertos en Martinica y uno en República Dominicana.
Un joven de 16 años de origen haitiano murió y varias personas resultaron heridas este sábado en República Dominicana, al ser arrastradas por las fuertes olas que desde la mañana se presentan en la costa sur. El fallecido se encontraba cerca de un acantilado en una avenida costera del este de Santo Domingo, informó el gobernador de la provincia Santo Domingo, Eladio Martínez.
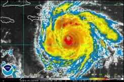
El poderoso ciclón categoría 4 avanzaba por el Caribe, convertido en un fenómeno "extremadamente peligroso" con vientos de más de 230 km/h, y llegará de lleno en las próximas horas al sur de República Dominicana antes de atravesar la isla de Jamaica, según un informe de las 03H00 GMT del domingo del Centro estadounidense de vigilancia de huracanes (NHC, por su sigla en inglés), con sede en Miami.
A esa hora el ojo del huracán se ubicaba a 580 km al este-sureste de Kingston, capital de Jamaica, y a 275 km de Puerto Príncipe, capital haitiana. Sus vientos máximos sostenidos alcanzaban los 230 km/h. El ciclón avanzaba a 28 km/h hacia el oeste, en dirección al Golfo de México.
En su recorrido Dean alcanzará Jamaica el domingo después del mediodía, sus vientos de tormenta tropical afectarán el sur de Cuba y continuará su trayectoria en dirección a la península de Yucatán, en México, donde impactará el martes, según el pronóstico del NHC.
La isla de La Hispaniola, conformada por Haití y República Dominicana, fue golpeada el sábado por fuertes lluvias, lo que disparó temores de inundaciones.
Un aviso de alerta ciclónica está en vigor en Haití, República Dominicana, Jamaica y las Islas Caimán.
También la península de Yucatán, al este de México, se encontraba el sábado en alerta ante el posible impacto, previsto para entre lunes y martes, del huracán Dean y los cerca de 80.000 turistas que veraneaban en Cancún y la Riviera Maya empezaron a ser evacuados.
Dean podría significar, además, un peligro para numerosas instalaciones petroleras del Golfo de México.
Mientras, las autoridades cubanas comenzaron este sábado las evacuaciones masivas de prevención en seis provincias del este, bajo alerta ante el avance del huracán Dean.
Las horas previas a la llegada del poderoso huracán Dean encontraron a los pobladores de Kingston, capital de Jamaica, en calma terminando compras de último momento y protegiendo a sus propiedades antes de que el centro del ciclón cruce la isla el domingo después del mediodía, según los pronósticos. El gobierno estadounidense ofreció asistencia inmediata a la isla en caso que sea necesario tras el paso del ciclón.
El primer ministro francés, François Fillon, anunció una reunión interministerial a principios de la semana entrante para analizar la situación en Martinica y Guadalupe, también golpeada por el huracán, que con vientos de 240 km/h se acerca a la categoría 5, más de 249 km/h.
En la tarde del sábado, cerca de 110.000 habitantes de Martinica continuaban sin servicio eléctrico, indicó en París un portavoz de la compañía eléctrica francesa EDF.
Dean incluso llevó a la agencia espacial estadounidense Nasa a adelantar para el martes el regreso a la Tierra de su transbordador Endeavour, dado que el huracán, si se acerca a Texas (sur estadounidense), podría obligar a cerrar la base de control espacial de Houston.
Los desplazamientos en avión y en barco fueron prohibidos en las regiones concernidas. También fueron emitidos avisos de evacuación de las zonas expuestas a las inundaciones y a los deslizamientos de tierra, según autoridades haitianas.
© 2007 AFP